京都古称“平安京”,是日本传统文化的原点和荟萃之地。公元794年恒武天皇宣布迁都到平安京,京都开始成为国家的中心。日本历史中的“平安时代”亦得名于此。城市中上千座神社寺庙构成的筋骨,与传承至今的民俗艺术孕育出的精神共同塑造了这座“千年古都”。
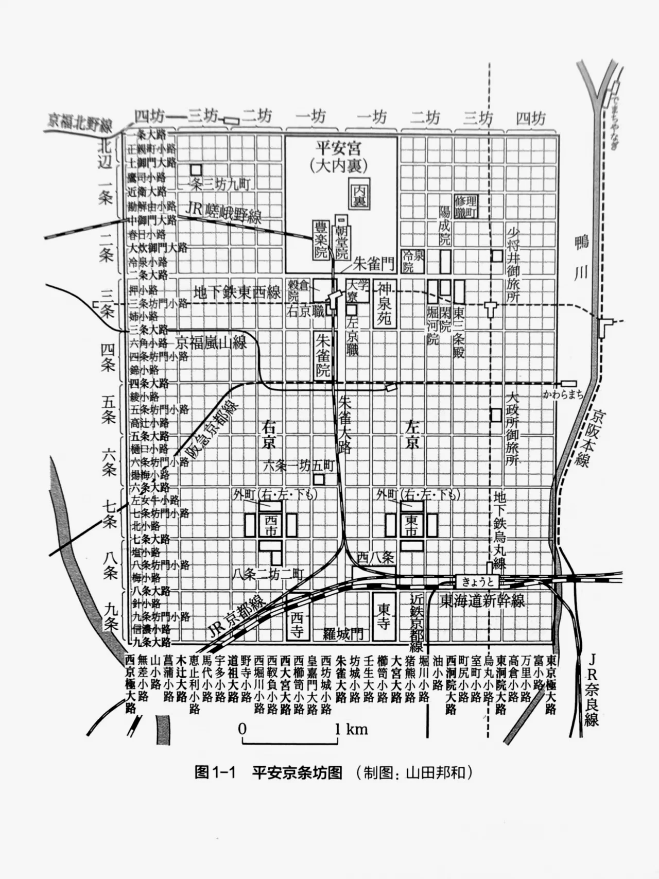
平安时代日本开始逐渐脱离大陆文化的影响,孕育本土审美风格。不过,都城最初的设计布局仍旧参考了中国唐代长安城和洛阳城的设计:城北为皇城和宫城,城南为外郭城。外郭城又分为东西两部分:恒武天皇的后继者嵯峨天皇喜爱唐风,下令自皇宫正门外向南延伸的朱雀大街为中轴线,西侧的右京部分被命名为“长安”,东侧左京则被称为“洛阳”。但平安京没有向大陆王朝的城市一样建造城墙。
然而,平安京的建设并没有完成:恒武天皇在生命的最后一年停止都城建造计划,此时城里还有大量尚待开发的地区。在这种“烂尾状态”下,右京因为恶劣的地理环境日渐衰落,左京人口则持续增长;人口消长导致的社会发展落差,使得左京“洛阳”成为平安京的代名词,京都亦被称为“京洛”。
武士时代到来后,地方的强力领主进京觐见天皇的行为被称为“上洛”;室町末期到江户早期一度流行的风俗画《洛中洛外图屏风》系列,用精美细腻的手笔描绘了京都内外的繁华景象。“洛中”与“洛外”的称呼至今仍见于京都的地名中。
自都城确立后的一千多年中,京都在天灾人祸里屡毁屡建,逐渐形成了今天的布局。出于对她的喜爱,我曾两度造访京都。接下来的几篇文章,我会以两次旅行的见闻,描绘出我眼中的京都风貌。
无论是本国游客还是外国游客,抵达京都的第一站往往是JR京都车站。车站内的布局看似与其他车站并无二致,其真正的样子在访客离开站台进入站厅后才展现出来:巨大的金属框架穹顶和无数玻璃窗包裹着来往的人潮,构成了一幅极具科幻感的画面。
京都站作为京都观光的核心枢纽,通过巴士、地铁等公共交通网络连接京都市内各名胜古迹。车站对面是因外形而“饱受诟病”的京都塔;附近步行距离可达东寺和西本愿寺两处世界遗产;南下可以去以“千本鸟居”而著名的伏见稻荷神社;京都国立博物馆也相距不远。车站自身以独特的设计风格也吸引着游客的目光:站厅内通向楼顶的大阶梯在夜间有灯光秀;楼顶则可俯瞰京都全景。
我两次旅行期间居住的酒店在“四条大路”附近。京都市内东西走向的主干道从“一条大路”到“九条大路”自北向南依次排列。名字来源于唐代都城的“条坊制”。南北从三条大街到五条大街,东西由河流“鸭川”和乌丸大街围绕的一片区域是京都最繁华的地区。
以该区域为中心,向东可到达祇园东山地区。著名的清水寺和寺前步行街“二年坂、三年坂”位于此;北边有二条城,以及更远处的金阁寺、龙安寺;向西则可去岚山地区。这些都是京都市内久负盛名的旅游胜地。
除了这些热门景点之外,我还有更加个性的行程规划。在这片热闹的街区里,有两处让我感兴趣的地方:一是号称“京都人的厨房”的“锦市场”步行街;另一处是本能寺,即日本历史中至关重要的一人——织田信长的殒命之地。
锦市场与现在为人所知的“本能寺”相距不远。两者都位于连接三条与四条大街的“寺町”商店街附近。这条长度不到400米的狭窄小路上挤满了商铺。其中大多售卖的京都当地的食材和特产,因此被称作“京都人的厨房”。尽管近年来游客数量爆炸式地增长,市场的商家仍旧努力保持传统的氛围。
与之相距不远的“本能寺”虽然延续了寺名,但并不是“本能寺之变”的发生地。原寺因为政变而被彻底焚毁,如今只有一块纪念碑默默讲述着那个腥风血雨的夜晚。旁边的建筑外墙上赫然嵌着几个汉字:“本能消防分团”——仿佛当地人刻意为之的黑色玩笑。
祭祀织田信长的祠堂设在如今的本能寺中。织田信长的生平已通过各种艺术作品充分演绎,故而不再赘述。在我看来,信长在流行文化中的形象,以日本光荣公司的描绘为其中翘楚:不论是《战国无双》系列里的亦正亦邪的古怪性格,还是《仁王》系列中剑眉星目的雄主姿态;甚至连不强调角色性格的历史模拟类游戏《信长之野望》系列中也将其作为标题突出。现在一提起“织田信长”,我脑中第一时间浮现的是光荣作品中身着“南蛮铠甲”的霸气造型。
京都与织田信长的关系匪浅:公元1568年,他拥护“室町幕府”的末代将军足利义昭上京。信长整顿了自“应仁之乱”以来混乱的京都治安,重振幕府统治。不过幕府将军只是徒有虚名,实权则掌握在他手中。足利义昭不甘傀儡待遇,逃离京都后组织了反对织田信长的“信长包围网”。后者用了十年时间征服了这些反对者,然而两年后他就丧命于手下明智光秀发动的袭击之中。
织田信长对京都的重建虎头蛇尾,后续的建设是由他的继任者丰臣秀吉进行。可以说现在京都的城市布局,是由丰城秀吉奠定了基础。在秀吉统治时期到德川幕府早期,毁于灾祸的京都众多神社和寺庙被陆续重建,因此当我们谈论京都“千年古都”的历史时,必须要承认市区内实际上并没有传承千年的有形建筑。如今漫步京都街头,游人已经无法寻到任何江户时代前的风貌。但转角偶遇的寺社与身着传统服饰的路人,依旧散发着属于这座城市的古老气息。
评论区
共 条评论热门最新